$375,000
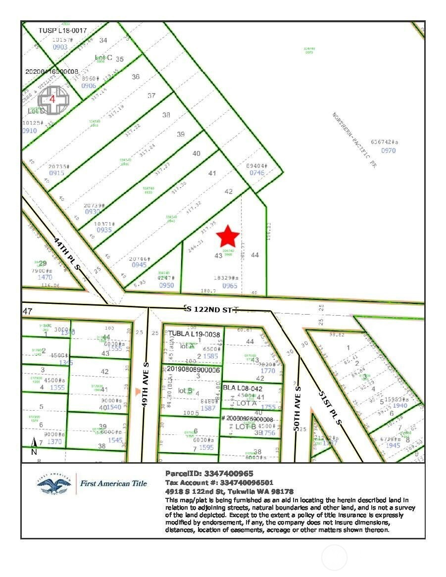
4918 S 122nd Street, Tukwila, WA 98178
4918 S 122nd Street, Tukwila, WA 98178 4918 S 122nd Street, Tukwila, WA 98178 4918 S 122nd Street, Tukwila, WA 98178
4918 S 122nd Street, Tukwila, WA 98178 4918 S 122nd Street, Tukwila, WA 98178 4918 S 122nd Street, Tukwila, WA 98178

MLS #2469400 / Listing provided by NWMLS & RE/MAX All City.

$375,000

4918 S 122nd Street
Tukwila, WA 98178

Active 1 day ago

Calling ALL Builders & Investors!! HUGE Level Lot plus improvements!! Cashout sale only. Estate selling AS-IS. Checkout this huge 18,329 sqft level lot with 1680sqft fixer 1983 manufactured home with 3 large garages and multiple outbuildings. Sewer in street out front. Must sell with next door property listing MLS#2469149. Total Lot size when purchasing both listings, 3 tax Id numbers, 2 lots will be shy 1 acre lot at 43,322sqft. Hard to come by these big level lots and located in the great Allentown location so close to Seattle. Seller to do no work orders. Buyer to verify everything to their satisfaction. Call your agent to see before they are gone!!

Disclaimer: The information contained in this listing has not been verified by Hawkins-Poe Real Estate Services and should be verified by the buyer.

Interior Features

Bedrooms

  • Upper Level Bedrooms: 0
  • Possible Bedrooms: 3

Fireplaces

  • Total Fireplaces: 0

Heating & Cooling

  • Heating: No
  • Cooling: No
Exterior Features

Parking

  • Garage: Yes
  • Parking Features: Garage

Lot Details

  • Lot Features: Corner Lot, Paved
  • Acres: 0.4208
Area Features

Schools

  • High School District: Tukwila
  • High School: Foster Snr High
  • Middle School: Showalter Mid
  • Elementary School: Tukwila Elem

Lot Details

  • Lot Features: Corner Lot, Paved
  • Acres: 0.4208
Utilities

Water, Sewer, and Garbage

  • Sewer: Available, In Street
  • Water Source: On Property
Mortgage Calculator
Charlie Hawkins Floberg

Charlie Hawkins Floberg
Office Manager | Managing Broker | REALTOR®


Send Charlie Hawkins Floberg an email